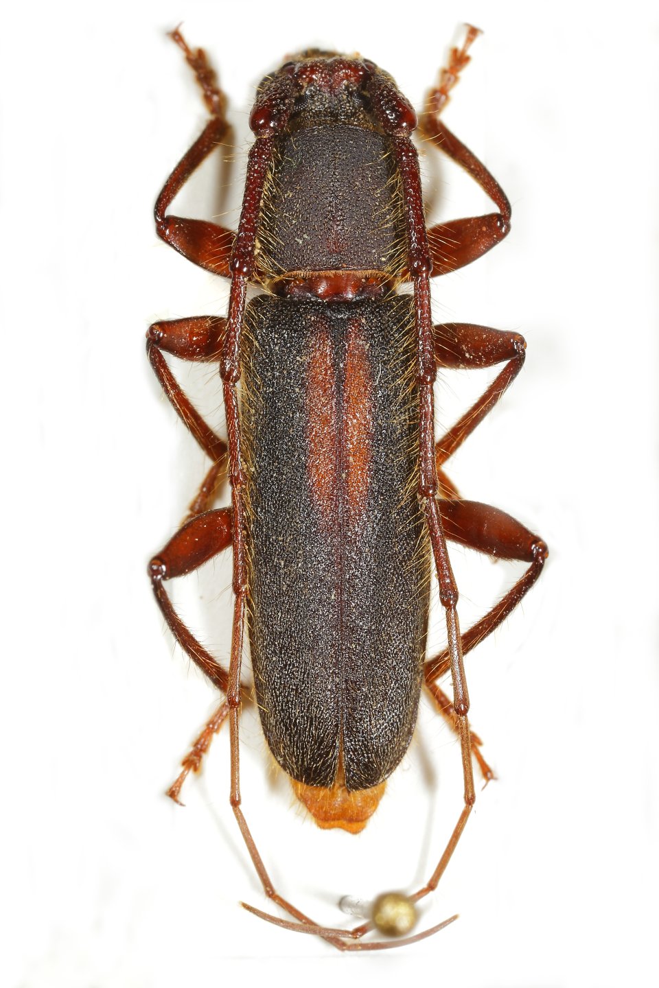
Zoodes compressus (Fabricius, 1787)

[= Callidium compressum (Fabricius, 1787)]
[= Gnatholea soraya (Villiers, 1974)]

ℹ  Information: Zoodes compressus, a species widespread from Thailand and India through South Iran to Arabian Peninula, has been described from Siam as Callidium compressum by Johann Christian Fabricius in 1787.

Body length: 15 - 25 mm
Peak activity: April - June, October - November 

⚠  Remarks: In Oman, we recorded the occurrence of the Zoodes compressus species only in the northern part near the border with the Arab Emirates. The nocturnal species was active on old Acacia trees. Sometimes he was lured into a light trap.
This is the first record for Oman.


🌍  Distribution: Afghanistan, United Arab Emirates, India, Iran, Oman, Pakistan, Thailand
Zoogeographic region: Palearctic


🗄  Taxonomic classification:

Familia Cerambycidae  Latreille, 1802
Subfamilia Cerambycinae  Latreille, 1802
Tribus Hesperophanini  Mulsant, 1839
Genus Zoodes  Pascoe, 1867
Subgenus  




🔎  Material examined (& observation):

Sultanate of Oman  🇴🇲 
Az Zahirah pr.
Mahdah env.
Wadi Rawdah
(GPS) 📌 
Altitude 430 m a.s.l. | 13.10.2013

📅  Our observation period: October ~ November
📝  Sampling Methods: Attracted to light trap  💡


 

Oman
More information:

Longhorn beetles (Cerambycidae) of the West Palaearctic region 
Coleoptera Cerambycidae Zoodes compressus

 

 

   The Cerambycidae fauna of Saudi Arabia, Rapuzzi 2024